Skip to content

Create Experiment Definition#

🔒 ExperimentDefinition.Create

Overview#

This operation is used to create a new Experiment Definition.

Setup#

No special setup is required other than to meet the preconditions of the transaction.

Preconditions#

  • You must have the Experiment Management module properly licensed in the system.
  • The Experiment Definition name must be unique.
  • If an Owner Role is defined, you must belong to that role.

Sequence of Steps#

There are several ways to create a new versioned object. Depending on the level, follow these steps to get started:

  • Entity - in the landing page of this entity type in the Business Data menu or in the details page of an existing entity of the same type, select New on the top ribbon. For more information, see Creating Entity Objects.
  • Revision - if you want to create a new revision, go to the New dropdown button on the top ribbon and select Revision. For more information, see Revisions.
  • Version - if you want to create a version associated to an existing revision, go to the New dropdown button on the top ribbon and select Version. For more information, see Versions.

Step 1: Change Set#

  1. Choose an existing Change Set or select Create to create a new Change Set. If configured to support implicit Change Sets, it is also possible to check the Use Automatic Change Set option.
  2. Optionally, select an Approval Role.
  3. Optionally, set the Make Change Set Items Effective on Approval to true so that the Change Set items become effective when the Change Set is approved.

Info

For more information, see Create Change Set.

create_experiment_definition

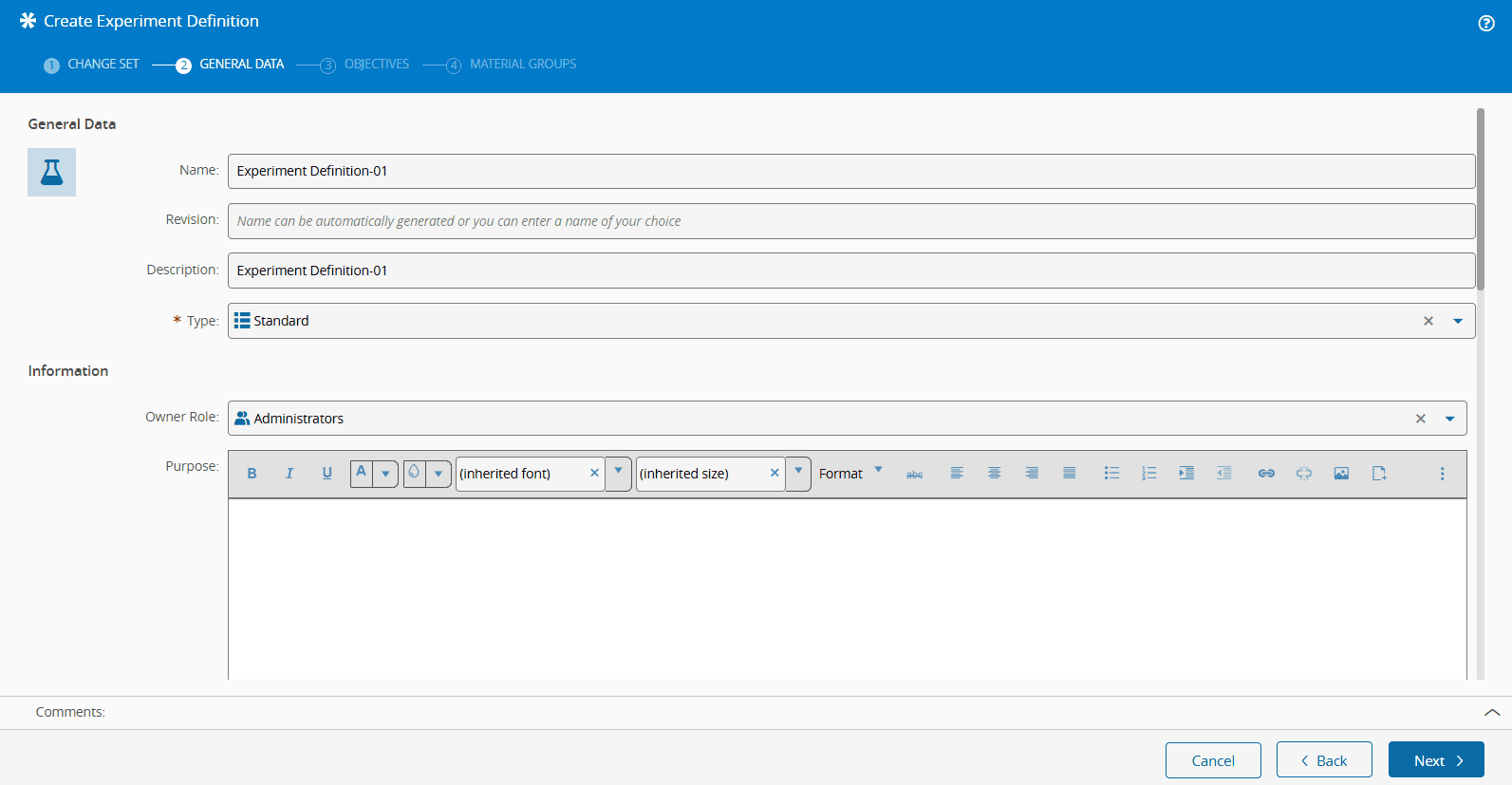
Step 2: General Data#

  1. Fill in the mandatory fields:

    • General Data
      • Name - provide a name for the Experiment Definition. This name must be unique.
      • Description - enter a description for the Experiment (optional).
      • Type - define a logical grouping for the experiment definitions by selecting one of the options from the lookup table ExperimentDefinitionType.
    • Information

      • Owner Role - choose a role that is used to restrict who can manage the Experiment (optional).
      • Purpose - describe the purpose of the Experiment (optional).
      • Note - add a note if you want to capture additional information about the Experiment (optional).

      experiment_general_data

    • Settings

      • Applicable to - you can restrict the material that can be affected by each Experiment. You can do so by restricting it to a Product or to a Product Group. All materials that do not belong to that Product cannot be selected when creating the Experiment. Select one of the following options:
        • Product - if the Experiment will be carried out on a Product. If you select this option, you will have to indicate the product name in the Product field below.
        • Product Group - if the Experiment will be carried out on a Product Group. If you select this option, you will have to indicate the product group name in the Product Group field below.
      • Flow - define the Flow in which the Experiment will be carried out.
      • Maximum Number of Materials - define the number of Materials to be used for the Experiment.
      • Required Material Type - define the required Material type for the Experiment execution.
      • Required Material Form - define the required Material form for the Experiment execution.
      • Mode - this option allows you to determine if the Experiment will be using Sub-Materials (for example, materials of a lot), or Full Materials (unitary materials). Select one of the following options:
        • Sub-Materials - if you select this option, you will have to indicate the number of Sub-Materials in the Required Sub-Materials Count field below. The value to enter in Required Sub-Materials Count must be > 0 (zero), because a value of zero means that this Experiment Definition refers to a full lot experiment. Additionally, you will have to enter the Required Sub-Materials Form.
        • Full Material - only Materials without Sub-Materials can be used.

      experiment_general_data2

      • Planned Start Date - define the planned start date for the execution of the Experiment.
      • Planned End Date - define the planned end date for the execution of the Experiment.
    • Options

      • Ignore in Sampling Plans - determine if the execution of the Experiment must ignore predefined Sampling Plans (defaults to true).
      • Ignore in SPC Charts - determine if the execution of the Experiment must ignore predefined SPC Charts (defaults to true).
      • Close Experiment Automatically - determine whether the Experiment Definition executions will be closed automatically when they complete the last Step in the Experiment Definition (defaults to false). The Experiment Definition will still appear in the list of Experiments and you can still edit it as needed.

      experiment_general_data3

Step 3: Objectives#

  1. Define a set of objectives for the Experiment Definition, by adding, removing, and editing the objective records of the Experiment Definition.
  2. Select to create a unique name for the objective of the Experiment Definition. Even though this name is unique, it can be duplicated across several Experiment Definitions. Along with the name, you can also associate a description and a target for each objective.
  3. In Name, select one of the objectives from the lookup table ExperimentDefinitionObjective. This unique name was previously filled in the mentioned lookup table.

    experiment_definition_objectives

Step 4: Material Groups#

If you previously selected the option Sub-Materials in Mode, you will need to specify the Main Material Groups.

The Sub-Materials are mapped in Sub-Material numbers by Slot ID.

This mapping is defined when the Material is first assigned to the Experiment. To simplify and organize the material assignment process, you can define Main Material Groups, which are a predefined group of sub-material numbers. You can later assign an entire Main Material Group to several actions without having to select each sub-material, one by one.

Nevertheless, when assigning, you have the flexibility to deselect or add a sub-material to the final sub-material list.

  1. Fill in the fields as instructed below:

    • Main Material Group Details
      • Name - add a unique name within the Experiment Definition.
      • Description - enter a description of the main material (optional).
      • Shippable - set to true or false, depending on your preferences. Define if shipping these Sub-Materials is allowed during the experiment.
      • Material Type - restrict the material type by defining the type of Sub-Materials that will be set when assigned to the Experiment Definition - only if Group is Main.
      • Mandatory Sub-Materials - mark the sub-material numbers that this Main Material Group must include.
      • Optional Sub-Materials - mark the sub-material numbers that you want to select as optional for this Main Material Group.

    experiment_definition_materials

    Note

    If any Sub-Material is left unselected for any Material Group, a visual indication will be displayed below the Main Material Groups panel.

  2. At the top of the screen, select the Matrix view icon and change the view type to have an overview of the assignment:

    experiment_definition_materials_matrix

  3. It is possible to assign or dissociate any sub-material numbers to any Material Group by selecting it on the matrix. All numbers need to be assigned and each number can only be part of a single Material Group. When finished, select Create.

    experiment_definition_materials_matrix2

  4. When viewing the Material Groups as a matrix, you can choose a specific Sub-Material as mandatory or optional by selecting the proper option on the top right of the matrix and picking the right cell on the matrix.

    experiment_definition_materials_matrix_select

Note

Based on the Required Sub-Materials Count number (defined in Step 2: General Data), the system will generate that amount of sub-material numbers. Sub-material numbers are used to predefine the Main Material Groups and later (when creating an experiment), each number will have a specific sub-material assigned.

Warning

At the end of the Experiment Definition creation, you are required to create at least one Step, so that the experiment is made effective.

Step 5: Add Experiment Definition Step#

  1. Select Add Step and complete the fields:

    • General Data
      • Flow and Step - Experiment Definition is based on an existing Flow, but you can have actions triggered by an operation in a Step that does not belong to that Flow. Select a Step by entering the Flow and Step information.
      • Material Groups Mode - define how different Material Groups are defined for entering and leaving the Step. The available options are:
        • Enter - Material Groups are defined when entering the Step.
        • Enter and Exit - Material Groups can be defined on entering and leaving the Step.
      • Exit Step Split and Merge Type - If the Material Groups Mode is set to Enter and Exit, you can define whether split and merge operations are logistical or physical.
      • Ignore in Sampling Plans - determine if the execution of the Experiment must ignore predefined Sampling Plans (defaults to true).
      • Ignore in SPC Charts - determine if the execution of the Experiment must ignore predefined SPC Charts (defaults to true).

    add_experiment_definition_step

  2. Select one or more Step Material Groups and fine-tune the selection by selecting or deselecting the individual sub-material number checkboxes.

    experiment_definition_material_groups

    Info

    If you have defined the Material Groups Mode as Enter and Exit, you will have two separate sections to define Material Groups: Enter and Exit.

  3. If you want to have a clearer overview of the Step Material Groups and sub-material assignment, select the matrix icon, on the top-right corner of the screen, to see the assignment grid.

    material_assignment_grid

  4. By selecting the Split Type, you will be defining the type of Split to be performed for the Step Material Group of this Experiment. Choose from:

    • None - no split (default).
    • Logical - a split where no physical separation takes places (example: in a semiconductor container, wafers from both parent and child materials remain in the container).
    • Physical - a split where a physical separation must take place (example: wafers from the child lot must be moved to a different container).
  5. The Split Scope option will allow you to determine the type of split to be performed for the Step Material Group of this Experiment. Choose from For Current Step (default), For Multiple Steps or Permanent.

    Note

    If the Split Scope is set to For Current Step, the system does not allow actions for Processed Materials.

  6. Define the Merge Flow Path. If the Split Type chosen above is For Multiple Steps, this selection will determine the Flow Path to where the Material Group will be merged back.

  7. Define the Merge State. In case the Merge is not Permanent, it determines the Material system state in which the Material will be merged.

    experiment_material_split_type

    Note

    The Split Scope can only be set if the Split Type is Physical, and the Merge Flow Path can only be set if the Split Scope is For Multiple Steps.

    If the Experiment Definition Material Group is Full Material, the Split Type must be None.

  8. Provide an Action for any Material Groups, at any given step. In the Action Details, choose the Action and Event at which the step operation is going to be triggered. For more information, see Experiment Actions.

  9. Optionally, enter a comment and the name of a distribution list so the persons on that list will be informed of the start of the action.
  10. Depending on the Action chosen above, additional information fields will be enabled. Provide the necessary information and when completed, select Add to complete the operation.

experiment_action

Note

In cases where the same Step is repeated within the Flow and the Material is in a Processed state, you may opt to enable Force Queued State. Otherwise, the Material will stay in the Processed state. Additionally, you can define the default value for the Force Queued State by editing the entry Context = Material.ChangeFlowAndStep for the Element = ForceQueuedState in the GUIElementDefaultValue Generic Table.