Create Experiment#
Experiment.Create
Overview#
This operation is used to create a new Experiment. There are two ways of creating a new Experiment:
- By choosing an existing Experiment Definition, selecting the Material and then selecting Create Experiment.
- By choosing an existing Material, selecting Create Experiment and then selecting an Experiment Definition.
Setup#
No special setup is required other than to meet the preconditions of the transaction.
Preconditions#
- The Experiment Management module must be properly licensed in the system.
- The Experiment Definition exists in the system and there is an effective version for it.
- The Material exists, is Active in the system and is TopMost.
- The Material state is Queued if it is currently in the first Step of the Experiment Definition. If not, there is no precondition for the Material state.
- The Material must not be referenced by any active Experiment.
- The Material must have the same Flow as the Experiment Definition.
- If the Experiment Definition defines a Product or a Product Group, the Material must have that Product or Product Group (via the Product).
- If the Experiment Definition defines a Required Type, the Material must have that Type.
- If the Experiment Definition defines a Required Form, the Material must have that Form.
-
If the mode is Sub-Materials:
- There must be a Material for every Sub-Materials from position 1 to Required Sub-Material Count that is not an Empty Sub-Material nor is it an Optional Sub-Material.
- There can be a Material for every Sub-Materials from position 1 to Required Sub-Material Count that is an Optional Sub-Material.
- Every Material Sub-Material must be assigned to an Experiment position – either to a Mandatory or an Optional slot.
- Every Sub-Material assigned to the Experiment must not be assigned to any other active Experiment.
-
If the Experiment Definition defines a Required Sub-Materials Form, the Sub-Materials must have that Form.
- If the Experiment Definition defines a Max Number Of Materials, then the current number of Experiments' records for the Experiment Definition of the Experiment, must not be exceeded after this use case is performed.
- In case the Experiment mode is Sub-Materials, all Sub-Materials to be attached to the experiment must have the following properties cleared (that is not set): Experiment and Experiment Sub-Material Number.
- If not called from Special Create Experiment - the Material either did not reach the First Flow Path as defined in the Experiment Definition (and can be in any System State) or is at the First Flow Path as defined in the Experiment Definition (and must be Queued).
- If called from Special Create Experiment - the Material is either at or hasn't yet reached the Experiment Definition Flow Path.
Sequence of Steps#
As mentioned above, there are two ways of creating an Experiment.
In this example, we will go through the process of creating a new Experiment by choosing an existing Experiment Definition and then selecting the Materials and the button Create Experiment. Start by selecting one of the Experiment active instances and select the button Create Experiment.
Step 1: Material#
-
Select the Material and then select Next:
-
If the selected mode is Full Material, only Materials without Sub-Materials can be used. If the Experiment Definition Mode is Sub-Materials, you must assign them to Experiment Definition Sub-Material Numbers.
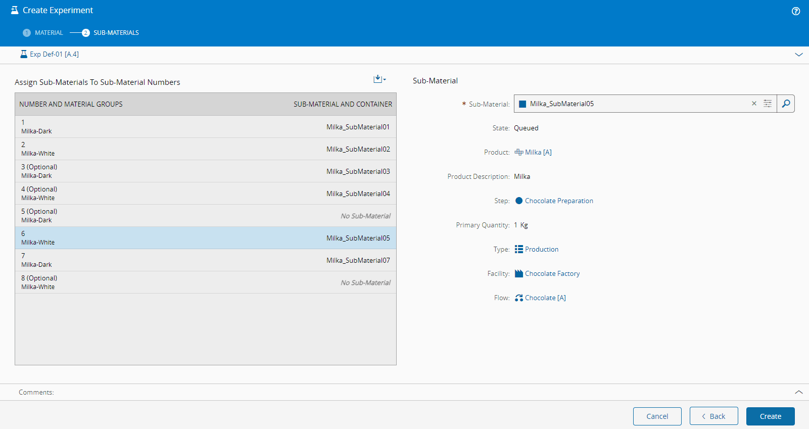
Step 2: Sub-Materials#
-
When the Experiment Definition Mode is set to Sub-Materials, you will need to assign it to the Material group and number. You can assign the Sub-Materials manually or select the icon to define the criteria by which you will assign the Sub-Materials:
- Assign by Sub-Material Name - the first experiment number is assigned with the first Sub-Material sorted by name (ASC).
- Assign by Container and Position - the first experiment number is assigned with the first Sub-Material sorted by Container, Position (ASC).
- Assign Remaining Randomly - positions are assigned randomly.
- Clear - remove current assignments.
When assigning Materials to the Experiment, if the number of Available Sub-Materials is less than the total number of Sub-Materials specified in the Experiment Definition (which includes Mandatory plus Optional Sub-Materials), the Mandatory positions must be assigned first in a sequential order. Otherwise, the system will show the error in the image below.

Only the Optional Sub-Materials may be left unassigned.

Note
It is important to present the container and position information for the Sub-Materials.
-
Optionally, enter a comment.
- The system will report that the Experiment was created successfully.
Alternatively, create the Experiment by selecting an existing Material, selecting the button Create Experiment and then choosing an Experiment Definition.
Note
After the assignment operation, the Experiment is in state Created.

