Skip to content

Compare Entity Versions#

🔒 EntityType.Compare

You can compare two entity versions by accessing a specific Compare view available in all of the versioned entities as well as some specific non-versioned ones. All entity properties can be seen in a side-by-side comparison, allowing you to see the differences between both instances, either versions or in particular cases, between the entities themselves.

Screenshot showing a comparison of entity versions in a graphical interface.

Available entities#

The entities that can be used in the comparison tool are the following:

Entity Versioned
BOM Yes
Checklist Yes
Container No
Data Collection Yes
Flow Yes
Inspection Plan Yes
Maintenance Plan Yes
Material No
Product Yes
Product Group Yes
Protocol Yes
Recipe Yes
Resource No
Step No

Table: Entities with comparison tool

Furthermore, in order to enable the comparison view on each of these entity types, the security feature EntityType.Compare must be set for the entity types listed above.

Compare view#

All entities listed above will have a Compare view, accessible through the dropdown located in the top left corner of the entity page. After changing to the compare view, the current entity will be selected on the left side and you can search for an object of the same entity type to see a side-by-side comparison of the properties from both objects, as well as second-level properties which are also displayed on-screen. When you open the comparison view, an entity is already selected, but you can change any of the two entities in the same comparison view, provided they match the entity type. For example, if you open BOM B1 and search for B2 to compare B1 vs B2, you can also choose to compare BOM B3 and BOM B4 from within the same page.

The properties that contain differences in value will have a color coded background status, marked in red (on the entity used as a base for comparison) and green (on the entity being compared to the open one). You can see an example in the image below, where Primary Units are the same but the value for Primary Quantity is different:

Screenshot showing a comparison view of properties with color-coded background status indicating differences.

If a property exists only in the second entity, it will also be shown with a green background in the second entity and a striped background in the first one:

Screenshot showing a compare view with color-coded background status indicating differences between compared entities.

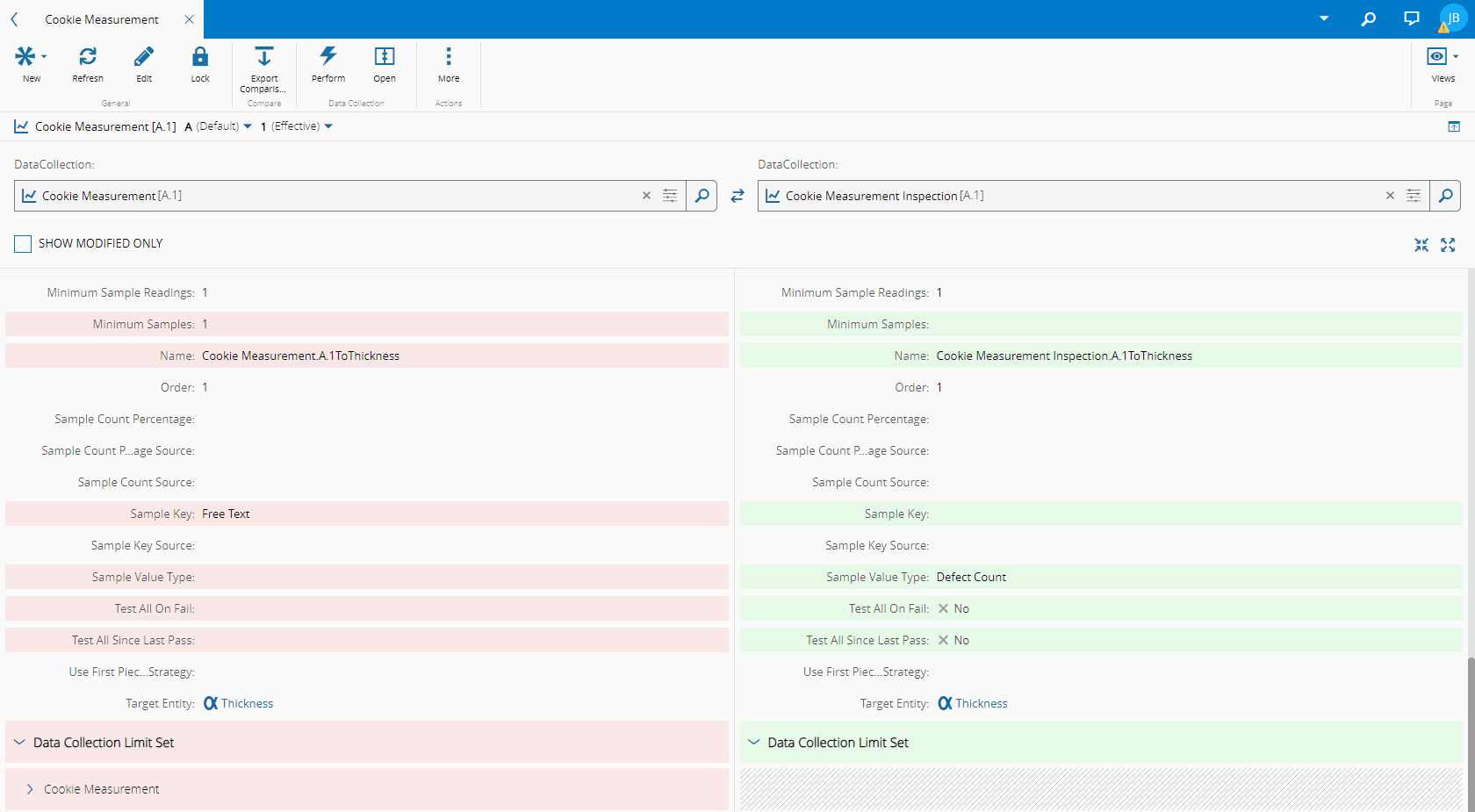
If it exists only in the first entity, it will be shown with a red background in the first entity and a striped background in the second one:

Screenshot showing a compare view with highlighted differences.

The values are displayed in a tree format, allowing you to expand and collapse individual sets of properties by pressing the chevron on the left side of the property group. There are two buttons on the right side of the comparison tree that allow you to collapse or expand all the rows at once.

Info

Depending on the number of properties and second-level entities linked to the entity being displayed, expanding all available properties can take some time.

You can also choose to display all properties or to hide the ones that have identical value by checking the Show modified only box. Here is the comparison view showing all properties:

Screenshot showing a comparison view with two columns, displaying properties and their values.

And here is the comparison view showing only modified properties:

Screenshot showing a comparison view with options for displaying all properties or hiding those with identical values.

Furthermore, if you wish to switch both entities being compared (while maintaining the entity page open), you can select the button between the two selection boxes.

Export comparison results#

Finally, you can export the comparison results to a PDF file for offline viewing and sharing by using the Export Comparison button on the top ribbon:

Screenshot showing the Export Comparison button on the top ribbon.